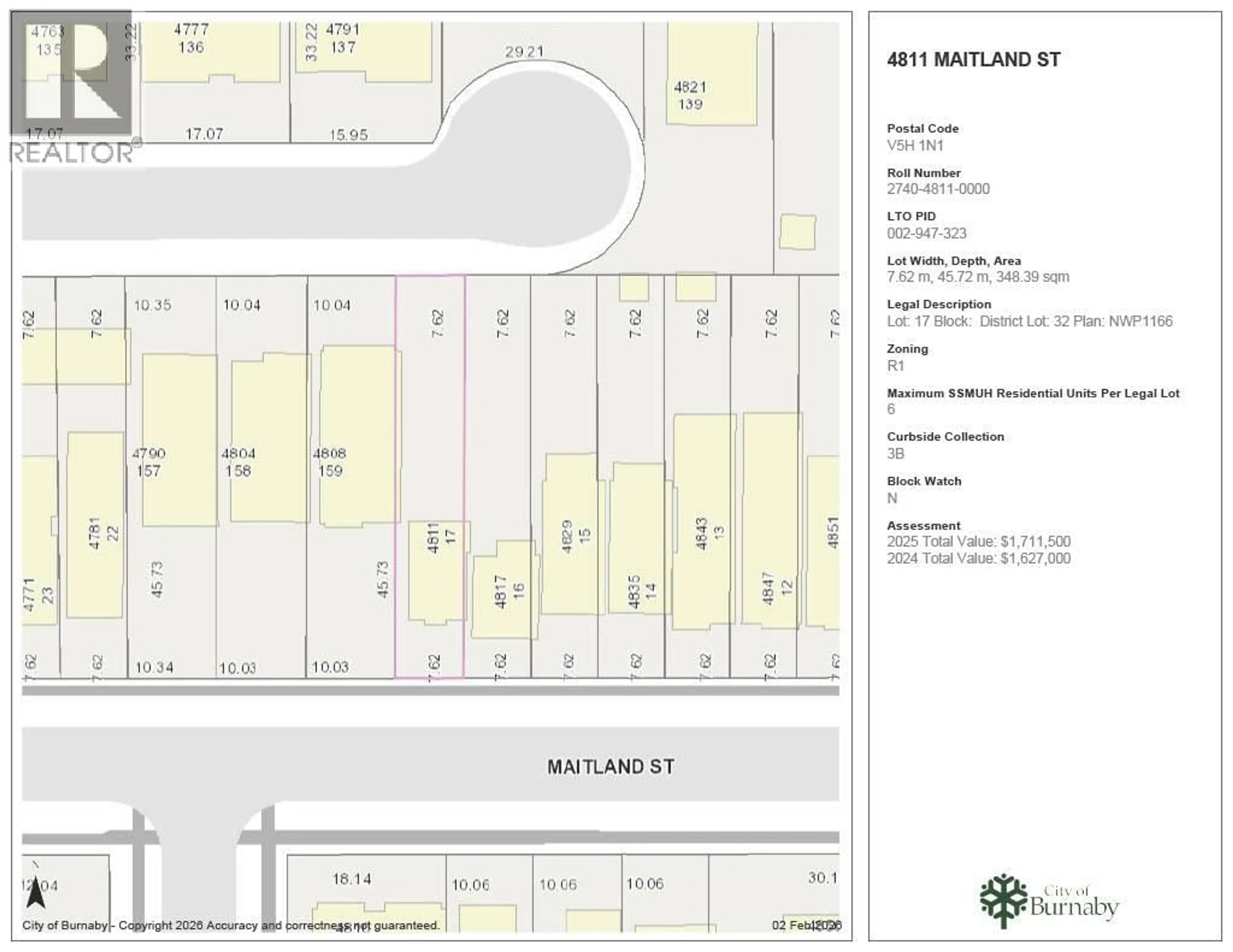
4811 MAITLAND STREET, Burnaby, British Columbia V5H1N1
Contact us about this property
Highlights
Estimated valueThis is the price Wahi expects this property to sell for.
The calculation is powered by our Instant Home Value Estimate, which uses current market and property price trends to estimate your home’s value with a 90% accuracy rate.Not available
Price/Sqft-
Monthly cost
Open Calculator
Description
INVESTORS, BUILDERS & FUTURE HOMEOWNERS, OPPORTUNITY KNOCKS! Rarely available BARE LOT 25 x 150 (3,750 square ft approx.) in the heart of Burnaby with dual road frontages on Maitland Street and the quiet Harley Court cul-de-sac, a combination that opens the door to exceptional design flexibility and strong rebuild potential. Zoning R1 SSMUH. Enjoy a prime, walkable location just minutes from Metrotown Shopping, Crystal Mall and close to Brentwood, SkyTrain, parks, restaurants, and everyday conveniences. Commuters will appreciate quick access to Hwy 1. Close to BCIT, SFU, and major medical facilities. School Catchments: Marlborough Elementary & Moscrop Secondary. Bonus, the home has already been demolished, saving time and demolition costs so you can move forward for development. (id:39198)
Property Details
Property History
4




